The city steps in...

 

Friday March 16. I happen to be taking the day off work to catch up on chores. The doorbell rings, and at the door is a young man who introduces himself as representing the City Planning Department, and asks if we had approval for "those retaining walls".

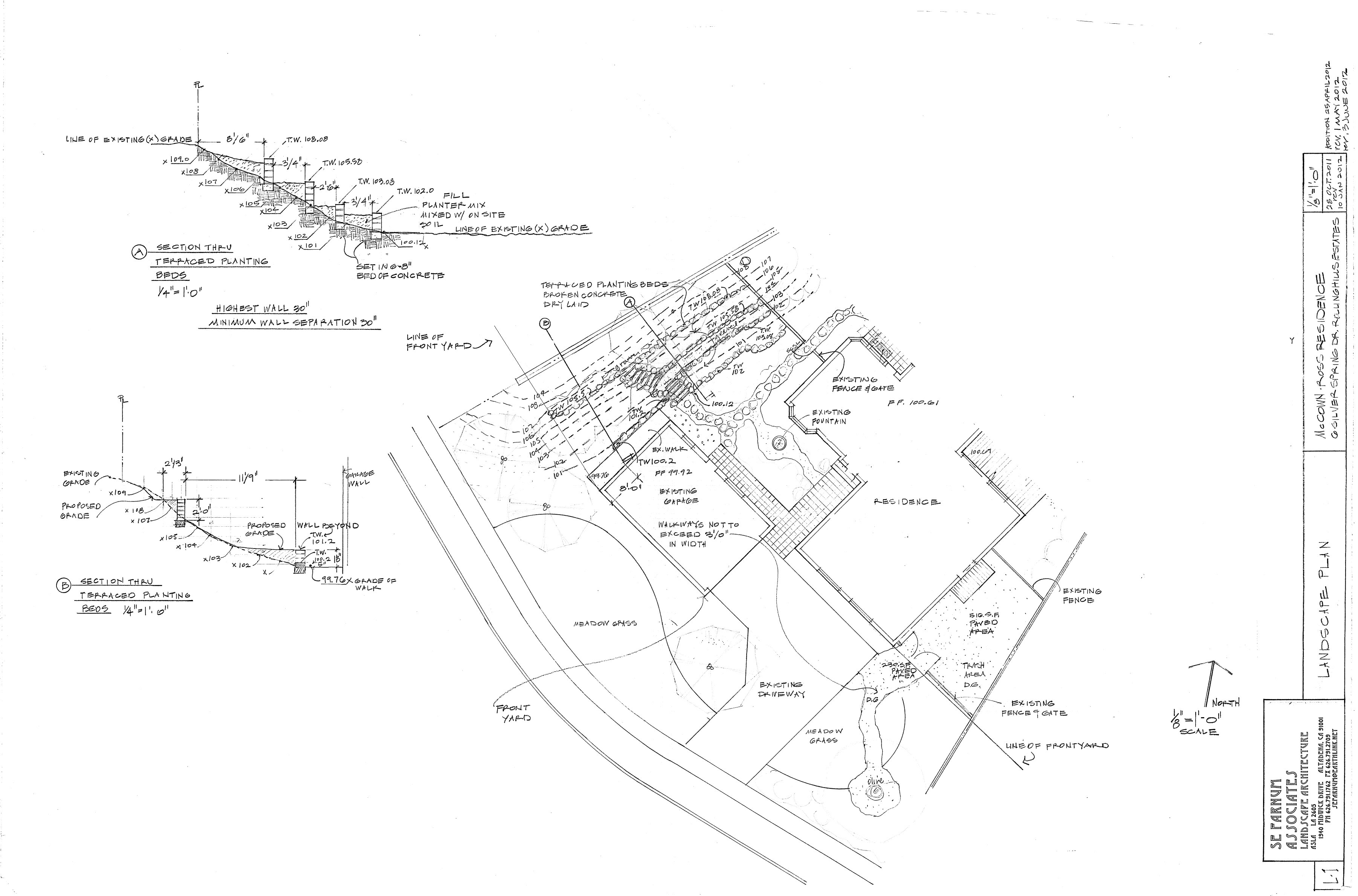
Now I should explain that our Landscape Designer had visited the City Planning department twice with plans in hand, and had come away with the impression that no permits or approvals were necessary for what we were calling "planter walls".

Now we could have launched into a fight right then and there as to what constituted a "retaining wall" vs a "planter". However the course of action requested by the city was to submit plans, get signatures from the immediate neighbors (which was easy they all loved the new look) and approval from the Homeowners Association (which was also trivial).

All of that was submitted to the city for approval, and below is what we get back. (Click on the small image to see full size). Along with letter that explained among other things that the "retaining walls do not respect the existing topography, reduce the appearance of open spaces between structures and property lines, creating the appearance of overbuilt lot to both public and private view.

 

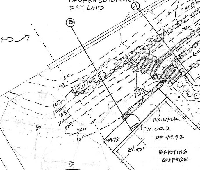
Unfortunately the proposed changes pretty much wipe out any level space for vegetables. Time for some negotiations. So I have a talk with the head planner. First proposal is to add a fence to the design between the corner of the garage and the property line which would block the public view of most of the structure. But that didn't fly. So the next proposal was to remove the bulk of the walls in the front section, leaving only the uppermost wall that supports the path to the front fruit trees. So we have our landscape designer draw up that alternate plan (below) and submit.

 

Each of these steps is taking time, and the design for our new kitchen is rapidly getting to the point of pulling permits (which we're told won't happen until this matter is settled). But finally on June 17 we have plans with the proper "approved" stamp, and the kitchen is allowed to proceed with out delay.

 

Implementation

Fortunately once the plan was approved the city was not in any particular hurry to have us implement the changes. This allowed for a wonderful harvest of cucumbers, beans and artichokes before the beds were taken apart.

Saturday August 4 the crew finally shows up to do the rework. (This happens the be the same day that the plumbers show up to re-work the upstairs bathroom plumbing.)

First step disassemble the middle wall:

 

Then after excavating a bunch of the soil that had been added, bury the broken concrete:

 

Then putting the dirt back to make something resembling the front hillside: